Property Detail

120 James Hoskins Lane

Cedar Creek TX 78612

$950,000

Status: Active

Property Details

Description

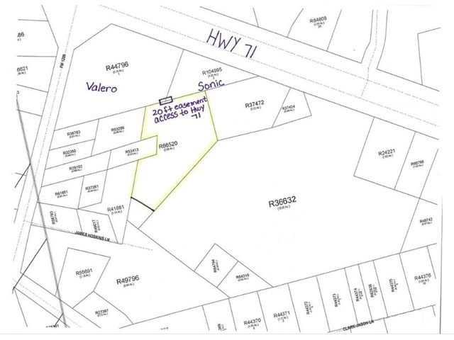
Fantastic opportunity for investor to purchase a 4 acres lot in Cedar Creek Texas in Bastrop County with two easement entrances. One entrance is located off HWY 71 between the Sonic and Valero. The second entrance is of FM 1209. The property is just 8 miles from downtown Bastrop...which is known for its growing population.

Map Location

Listing provided courtesy of of Keller Williams - Lake Travis. Last updated 2024-09-23 10:12:55.000000. Listing information © 2025 ACTRIS.

Roya1234 Real estate 9:00 AM - 5:00 PM 9:00 AM - 5:00 PM 9:00 AM - 5:00 PM 9:00 AM - 5:00 PM 9:00 AM - 6:00 PM 9:00 AM - 5:00 PM 9:00 AM - 5:00 PM https://s3.amazonaws.com/static.organiclead.com/Site-3f681f1f-5fa7-4409-a780-8a3265e02616/home/HEADSHOT.png realtor # # # https://s3.amazonaws.com/static.organiclead.com/Site-3f681f1f-5fa7-4409-a780-8a3265e02616/home/HEADSHOT.png