Property Detail

507 Leah Lane

Smithville TX 78957

$299,000

Status: Active

Property Details

Description

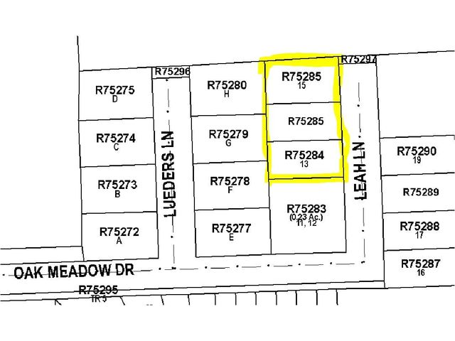
Brick Home + Lot Next Door (2 surveys, 2 plats)! Welcome to 507 Leah Ln, a 3 bedroom, 2 bath all-brick home located in the small & quiet Oak Meadows neighborhood off Faulkner Rd. 507 Leah Ln. lives large due to its ideal floor plan & the .23 acre lot (made up of Lots 14 & 15). A side entry 2-car garage & the generous concrete driveway are located on the right side of the home away from incoming traffic. Entering the home from the foyer you will notice the vaulted ceiling as well as an attractive brick gas-log fireplace as the focal point. The primary bedroom is separate from the 2 guest bedrooms which are located on the north end of the home, along with an additional full bathroom & a small office niche in the hallway. The primary bedroom also features a walk-in closet & an ensuite bathroom with a stand-up shower stall, double sink vanity, a separate built-in vanity table as well as a linen closet. Around the corner from the LR, you will find the dining area & kitchen with all necessary large appliances, a pantry closet & solid wood cabinetry. Walk out to the covered concrete porch & the extended open patio to enjoy an expansive backyard surrounded by a wooden privacy fence. The 2 storage sheds near the northern fence line convey with sale. Also conveying with the sale is an additional lot to the south of the home (Lot 13, PID R7528) for the the opportunity to develop the adjoining vacant lot or keep as a buffer. Lot 13 is included in this list price. 507 Leah Ln. is an exceptional opportunity to own a well-maintained home that has been gently lived in by the original owner since it was built in 1999. Oak Meadows subdivision deed restrictions & CC&R’s available upon request.

Map Location

Listing provided courtesy of of All City Real Estate Ltd. Co. Last updated 2024-09-23 10:02:13.000000. Listing information © 2025 ACTRIS.

Roya1234 Real estate 9:00 AM - 5:00 PM 9:00 AM - 5:00 PM 9:00 AM - 5:00 PM 9:00 AM - 5:00 PM 9:00 AM - 6:00 PM 9:00 AM - 5:00 PM 9:00 AM - 5:00 PM https://s3.amazonaws.com/static.organiclead.com/Site-3f681f1f-5fa7-4409-a780-8a3265e02616/home/HEADSHOT.png realtor # # # https://s3.amazonaws.com/static.organiclead.com/Site-3f681f1f-5fa7-4409-a780-8a3265e02616/home/HEADSHOT.png